ORTHOMOSAICS
Industry / Infrastructure / Solar / Insulation / Energy Efficiency
ORTHOMOSAIC & TOPOGRAPHICAL MAPPING
Orthomosaics
An orthomosaic is a high-resolution, geometrically accurate map created by stitching together multiple overlapping images (orthophotos) into a single, seamless, distortion-free image. Unlike regular aerial photos, orthomosaics correct for perspective, lens distortion, and terrain relief, providing a precise, to-scale, top-down view of an area. This makes them valuable tools for various industries, including construction, agriculture, and environmental monitoring, for tasks like site planning, progress tracking, accurate measurements, and land analysis
Key characteristics:
- Geometric Accuracy: Provides precise, geometrically correct imagery with no distortion.
- Uniform Scale: The entire map is at a consistent, accurate scale, allowing for precise measurements
- High Resolution & Detail: Offers superior clarity and a high level of detail compared to conventional satellite or aerial imagery.
- Date-Specific & Up-to-Date: Provides a real-time or date-specific snapshot of an area.
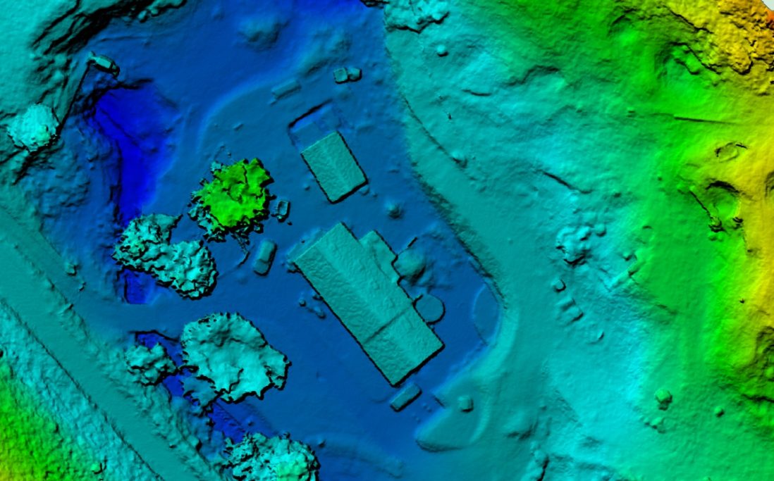
Colour Topographics
Using accurate data from drone imagery, and ground control points, we can build detailed height mapping to create a topographical map of your project and landscape. Topographical mapping can be useful in landscape managment to identify features that may not stand out in orthomosaic mapping. This can be particularly useful in identifying subtle data points such as tidal zones, drainage, water catchment, and archeology.


